Marmara Denizi’nde 1975 tarihli THY uçağına ait parçalar su altı dronuyla görüntülendi iddiası

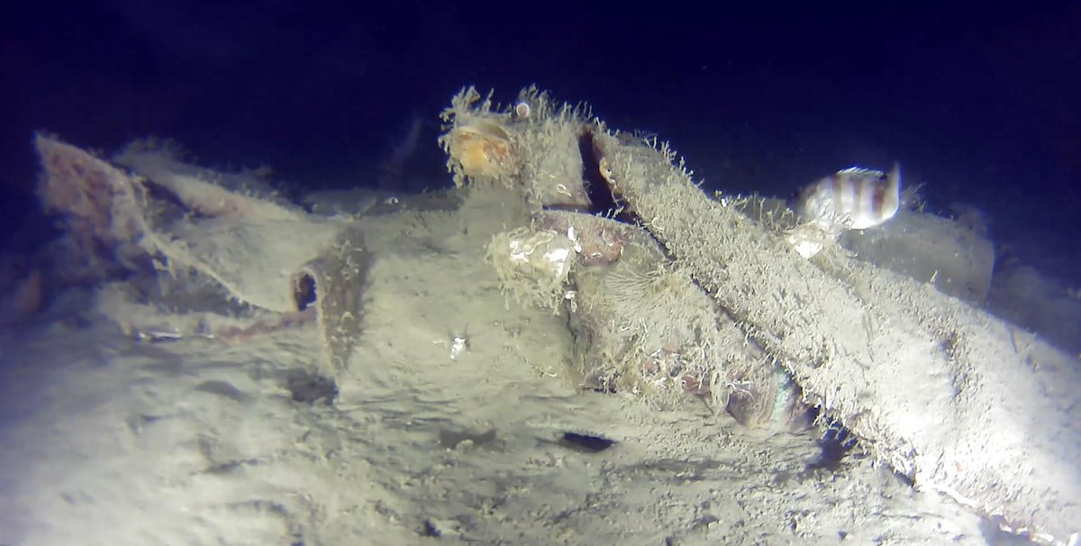
Youtuber Nedim Kuru ve ekibi, Marmara Denizi’ne 30 Ocak 1975’te düşen THY’ye ait 'Bursa' F-28 uçağına ait olduğu iddia edilen yeni parçaları su altı dronu ile görüntüledi.

Yayın Tarihi: 25.01.2026 19:24
Güncelleme Tarihi: 25.01.2026 19:24

Marmara Denizi’nde 1975 tarihli THY uçağına ait parçalar su altı dronuyla görüntülendi iddiası

Marmara Denizi’nde 1975 tarihli THY uçağına ait parçalar su altı dronuyla görüntülendi iddiası

İddia, yarım asırlık kayıp enkazla ilgili tartışmayı yeniden canlandırdı

Youtuber Nedim Kuru ve ekibi, su altı dronu ile yaptıkları dalışlarda, 30 Ocak 1975 tarihinde İzmir-İstanbul seferini yaparken Büyükçekmece açıklarında Marmara Denizi’ne düşen Türk Hava Yolları’na (THY) ait 'Bursa' isimli F-28 uçağına ait olduğu iddia edilen parçaları görüntülediklerini duyurdu.

Ekip, daha önceki dalışlarında da enkaza ait olduğu düşünülen parçalar tespit ettiğini belirtirken, son dalışında uçağın gövdesine ait olduğu düşünülen yeni parçaların görüntülendiğini iddia etti. İddialarda yer alan bilgiler, görüntülerin su altı dronuyla elde edildiğini vurguluyor.

30 Ocak 1975 kazasında 42 kişi hayatını kaybetmiş; kazada hayatını kaybedenler arasında Fatih Terim’in kayınpederi Kamuran Aksu ile şarkıcı Seyyal Taner’in hostes kardeşi gibi isimler bulunmaktaydı. Dönemin teknolojik kısıtları nedeniyle enkazın resmi olarak çıkarılamaması ve arama çalışmalarının sınırlı kalması uzun süredir kayıp enkazla ilgili belirsizliklere yol açmıştı.

Haber kaynağı tarafından yapılan açıklamalar, bulunan parçaların uçak enkazına ait olduğu yönünde güçlü bir iddiayı içeriyor; ancak bu tür keşiflerin resmiyet kazanması için bağımsız uzman incelemeleri ve yetkili kurum teyidi gerekmektedir. İddia edilen görüntüler ve tespitler, kazanın yarım asırlık sırrına ilişkin yeni bir tartışma başlatabilir ve ailelerin, araştırmacıların ve yetkililerin dikkatini yeniden çekebilir.

Olayla ilgili resmi doğrulama veya teknik inceleme sonuçları henüz kamuoyuna açıklanmadı. İlerleyen günlerde yapılacak açıklamalar, görüntülerin enkaza ait olup olmadığı ve olası çıkarma/inceleme süreçlerine ilişkin netlik sağlayacaktır.

MARMARA DENİZİ'NE 50 YIL ÖNCE DÜŞEN UÇAĞIN GÖVDESİNE AİT YENİ PARÇALARI BULUNDU

MARMARA DENİZİ'NE 50 YIL ÖNCE DÜŞEN UÇAĞIN GÖVDESİNE AİT YENİ PARÇALARI BULUNDU

MARMARA DENİZİ'NE 50 YIL ÖNCE DÜŞEN UÇAĞIN YENİ PARÇALARI BULUNDU

Yazar
EDİTÖR

Mustafa Şahin

Adım Mustafa Şahin, 33 yaşındayım. İstanbul'da yaşıyorum. aksiyon.com.tr'de Gündem editörüyüm, uzmanlık alanım güvenlik ve savunma politikaları. Ciddi ve disiplinli biriyim. Okuyucularımıza derinlemesine analizler ve özel dosyalar hazırlamayı seviyorum.